
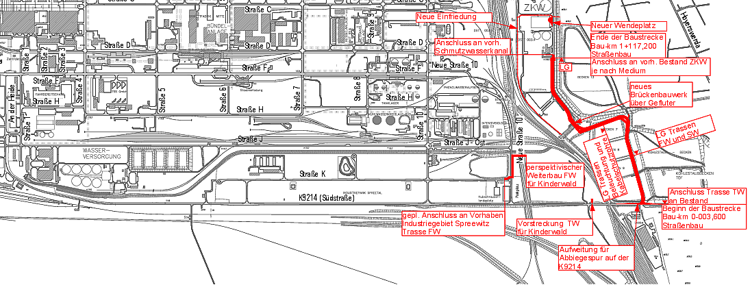
Auf Grund der weiterhin bestehenden Nachfrage nach größeren Flächen so-wie der Entscheidungen zu Erweiter-ungsinvestitionen am Standort Indus-triepark Schwarze Pumpe (ISP) ist auch eine Erweiterung des erschlos-senen Industrieparkareals zwingend erforderlich.
Die geplanten Maßnahmen dienen der Erschließung weiterer Grundstücke und damit zur Absicherung der Ge-werbeansiedlung im südöstlichen Be-reich des ISP und anschließend auch im Außenbereich des ISP bis zur Süd-straße.
Die Dimensionen der Medien wurden weitestgehend durch die ASG vorge-

geben, im Rahmen der Vorplanung auf Plausibilität geprüft (Schmutz- und Trinkwasser) und nach entsprech-ender Variantenuntersuchung zur Schmutzwasserableitung die Vor-zugsvariante (Freigefälleanlagen mit 2-facher Stufenförderung zur Geflu-derquerung und Anschluss an den Bestand) weitergeplant.
Als Besonderheit ist zu benennen, dass sich ein großer Teil des Planungsvorhabens im Bereich von Bestandsteichen mit entsprechendem Rückbau befindet. Die Höheneinord-nung der Verkehrsanlagen inkl. Me-dien erfolgt in enger Abstimmung und planungsseitiger Koordinierung mit Dritten.


ASG GmbH
Ingenieurbauwerke LP 1 - 9
Verkehrsanlagen LP 1 - 9
Technische Ausrüstung LP 3 - 7
(optional LP 8 - 9)
Örtliche Bauüberwachung für
die Brücke über den Gefluter
Besondere Leistungen
Geotechnik
Vermessung
Britta Löschigk
Ralf Sonntag
Vorplanung 02.2022
seit 10.2022 nächste Planungs-phasen
3,67 Mio. EUR